
Irma Kasırgası ABD'ye Ulaşmadan Ekonomisini Vurdu
Amerika’ya doğru ilerleyen Irma Kasırgası şimdiden ABD ekonomisini birkaç cepheden vurmuş durumda.
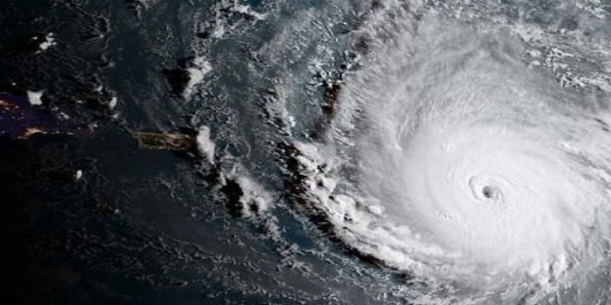
Geçen hafta Houston’u vuran Harvey Kasırgası’nın ekonomik maliyeti hesaplanmadan, Amerika’ya doğru ilerleyen Irma Kasırgası şimdiden ABD ekonomisini birkaç cepheden vurmuş durumda. Portakal suyu fiyatları fırlarken yatırımcılar, yolcu gemisi ve sigorta şirketleriyle seyahat acentelerinin hisselerini elden çıkarmaya başladı.
ABD Merkez Bankası, Harvey Kasırgası’nın Meksika Körfezi kıyısında kapanan rafineriler, sular altında kalan iş yerleri, aksayan ulaştırma ve nakliye hizmetleri nedeniyle ekonomik faaliyetlere geniş çapta sekte vurduğunu söyledi.
Uçuşlar iptal oldu hisseler düştü
FlightAware.com’un raporuna göre Irma Kasırgası da çoğunluğu Porto Riko olmak üzere 800’den fazla uçak seferinin iptaline neden oldu. Hemen öncesinde de Harvey Kasırgası Houston’da neredeyse 11 bin uçak seferinin iptal edilmesine yol açmıştı. United-Continental Havayolları, Harvey nedeniyle yaşadıkları satış kayıplarının ve yüksek petrol fiyatlarının şirketin karlılık oranına zarar vereceğini bildirdi. Şirketin hisseleri düştü.
Harvey Kasırgası Amerika’nın rafineri kapasitesinin beşte birinin de durmasına neden oldu. Bundan dolayı da benzin stoklarının azaldı, yakıt fiyatları arttı ve ham petrole talep azaldı.
Irma bazı sigorta şirketi hisselerine sahip yatırımcıları da endişelendiriyor. Çok sayıda firmanın hisse değerleri kasırganın Amerika’nın yoğun nüfuslu Florida eyaletine doğru ilerlemesiyle birlikte düşüş kaydetti.





HABERE YORUM KAT